조황관리HOME / 조황관리 / 상세정보

제목 : 통영 서하호15일 철수 조황입니다
등록일 : 2026-03-15
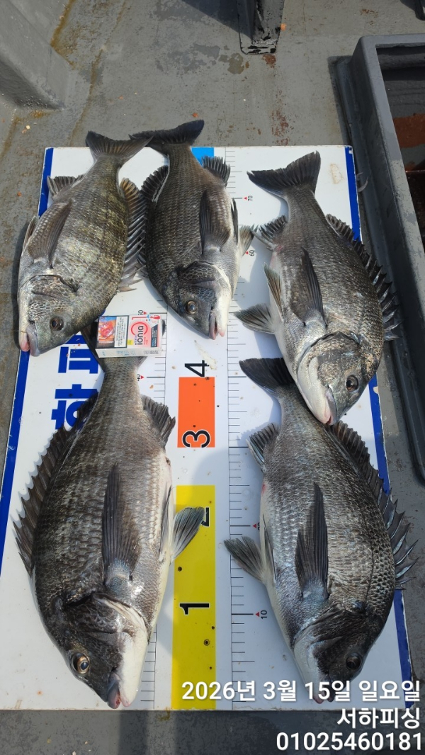
통영서하호 15일 카고 한분모시고 51.47.47.45.45 잡고 두방 터지고 재미나게 놀다 조기철수 했습니다
내일부터 카고 여유자리 많습니다
카고 선수분들 감시 잡으러 오세요
BandPhoto_2026_03_15_16_38_39_4.jpg


BandPhoto_2026_03_15_16_38_39_3.jpg


BandPhoto_2026_03_15_16_38_39_2.jpg


BandPhoto_2026_03_15_16_38_39_1.jpg
 

            카고(5인)  2인이상 출조
식사포함 선비 10만원
독배:50만
밑밥/미끼 개인준비
밑밥 1인당 입니다 크릴5개.감성천하2개.보리5바가지 
   * 숙성밑밥 절대금지.찐크릴 금지
                 
             흘림(6인)  3인이상 출조
식사포함 선비  10만원 
독배:60만

시원한 물 .커피  제공합니다
빈곳은  카고/흘림 예약 가능


매일 선장 혼자라도 탐사 다닙니다 언제나 최선을 다하는 통영서하호입니다 

함께 손맛보실 조사님들

연락주시면 친절히 모시겠습니다

감사합니다.
 

2022년 신조선 3t 입니다 ^^ 

기상만 허락한다면 소수인원도 상관없이 매일 출항합니다 ~!!

   *환불안내*

1.출항 3일전 전액 환불가능

2.출항 2일전 50% 환불가능

3.출항 1일전 및 당일 환불  불가 



미리미리 예약 부탁드립니다.^^

대표 예약번호  010-2546-0181 (예약직통)


☆☆21년 건조 최신식 장비 탑재

항상 안전하고 정확한 포인트로 보답 드리겠습니다 


◑◑ 선입금 계좌안내 ◐◐

( 계좌안내 )

은행명: 경남

계좌번호: 2070087940702

예금주 : 전은화



*** 통영 서하호 예약 안내 ***


예약문의 : 010-2546-0181

오시는길 : 경남 통영시 국치해안길 186
모바일.jpg 

Top